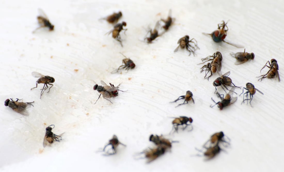
Los problemas de salud pública que provocan los enjambres de moscas que se generan en los lodos que sacan de la Planta Tratadora de Aguas Residuales (PTAR), se están combatiendo con la dispersión de un parásito.
La Comisión Nacional del Agua (Conagua) informó que estos parásitos tienen la peculiaridad de alimentarse de los huevecillos de las moscas, con lo cual se abatirán los enjambre.
De acuerdo a José Ángel Félix Sánchez, director local de Conagua, en atención a la petición de las comunidades que se han visto afectadas por los grandes enjambres de moscas, se puso en marcha este tipo de procedimientos que busca minimizar los riesgos.
La idea de usar este método, según comentó el funcionario federal, es que se coloque en los lodos y se coma los huevecillos de las moscas para evitar que lleguen a la vida adulta y causen molestias.
Aunque, Félix Sánchez reconoció que aún no ha visto los reportes ni ha hablado con la gente, para saber cómo está funcionando, en la práctica, el parásito ya fue depositado para hacer frente a la problemática.
Cabe señalar que, la gente de las comunidades aledañas a la PTAR, San José Acoculco, San Antonio y El Salto, han manifestado que la presencia de las moscas es mucha y que causa problemas de salud y afectaciones a la piel, tanto de personas como de animales, pero no le han dado soluciones reales a su problemática.
La situación se agudiza durante la temporada de calor y este año, que en el mes de junio reportó altísimas temperaturas, las personas se quejaron nuevamente, sobre todo porque, no pueden abrir algunas ventanas antes la presencia excesiva de moscas que entran.
[Publicidad]







